В ночь на субботу (08.09.2018) изменится схема движения на Пролетарском кольце

С открытием новой дороги от улицы Новикова-Прибоя до Лесной изменится движение и по кольцевой развязке на Пролетарской. Точнее, она перестанет быть кольцевой.

В нижегородской администрации надеются, что пробки на Пролетарском кольце уйдут в прошлое. Часть транспорта с Пролетарского кольца должна уйти на новую дорогу. Ее откроют 6 сентября. А вот схему движения по кольцевой развязке решили поменять в ночь на субботу, 8 сентября, чтобы водители могли освоиться с новой схемой движения, когда трафик будет меньше. По сути эту развязку в ее новом виде уже нельзя считать кольцом. Выезд с улицы Переходникова в сторону проспекта Ленина (парка «Дубки») и улицы Новикова-Прибоя будет запрещен.

По новой схеме с Переходникова нужно будет заранее свернуть на Лесную в сторону проспекта Ленина и уже по проспекту проезжать развязку в направлении парка «Дубки» или Мызинского моста. Новая дорога поможет тем, кому также нужно проехать с улицы Новикова-Прибоя (со стороны Московского шоссе) в сторону парка «Дубки» и далее по проспекту Ленина.

В мэрии надеются, что новая дорога и схема движения по развязке разгрузят Пролетарское кольцо от транспорта. Такие же надежды возлагали на обновленный проспект Молодежный. Однако без виадука на Петряевке онвновь встал в пробках.

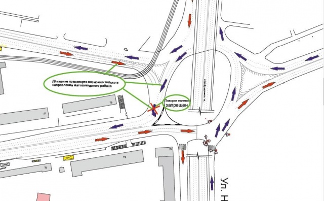
Администрация Нижнего Новгорода обнародовала подробную инструкцию, как автомобилистам проходить новую развязку, минуя Пролетарское кольцо:
1.Движение транспорта по направлению к Московскому шоссе со стороны улицы Переходникова будет осуществляться по вновь построенному участку дороги, соединяющему улицы Новикова-Прибоя и Лесную.
2.Вводится изменение движения на кольцевой развязке, при котором будет закрыто движение транспорта по кругу между улицей Переходникова и проспектом Ленина.
3.Движение транспорта от микрорайона Соцгород в направлении Мызинского моста будет осуществляться по улице Лесной, дорожной развязке под железнодорожным путепроводом через Восточный проезд или улицу Райниса.
4.Движение транспорта из Ленинского района по проспекту Ленина в направлении Мызинского моста будет осуществляться по улицам Переходникова, Лесной, дорожной развязке под железнодорожным путепроводом с выездом через проспект Ленина или через Восточный проезд.
5.Дополнительно вводится светофорное регулирование для транспорта и пешеходов на круговом движении в районе пресечения улицы Новикова-Прибоя и проспекта Ленина со стороны парка «Дубки».

Департамент транспорта администрации Нижнего Новгорода просит водителей быть внимательными и следить за установленными дорожными знаками и указателями. Аншлаги установлены в трех точках: перекресток проспекта Ленина — улица Нахимова в направлении Автозаводского района, перекресток улица Переходникова — улица Лесная в направлении Ленинского района, круговая развязка «Пролетарская» в направлении Автозаводского района.

Информация с NN.ru


С 8 сентября 2018 года в связи с открытием новой дороги от улицы Лесной до улицы Новикова-Прибоя изменится схема движения общественного транспорта на Пролетарском кольце при пересечении проспекта Ленина, улиц Новикова-Прибоя и Переходникова.

Так, поменяется путь следования общественного транспорта по маршрутам № А-15, № 73, № 85, №. А-49, № 65, № 69 и № Т-65. Теперь движение на данном участке будет осуществляться через улицу Переходникова, улицу Лесная, проспект Ленина, улицу Новикова-Прибоя и в обратном направлении: улица Новикова-Прибоя – улица Переходникова.

Маршруты № А-64, № 81, № 87, № Т-37, № Т-83, № Т-85, № Т-98, № Т-113 и № Т-138 будут проложены через улицу Переходникова, улицу Лесная и проспект Ленина и в обратном направлении: улица Новикова-Прибоя – улица Переходникова. Движение автобусов № А-66,№ 86, № Т-76 на данном участке будет осуществляться через проспект Ленина, улицу Переходникова, улицу Лесная, проспект Ленина, улицу Новикова-Прибоя и обратно по маршруту улица Новикова-Прибоя – проспект Ленина.

Путь следования маршрутов № А-40, № 56, № 67, № Т-40, № Т-46, № Т-59, № Т-60, № А-63, № 77, № Т-97, № ТЛ-2, № А-31, № ТЛ-11, № ТЛ-12, № А-55, № 93 останется без изменений.

Ранее сообщалось, что мэр Нижнего Новгорода Владимир Панов провел выездное совещание на круговой транспортной развязке в районе станции метро «Пролетарская». «В этом году удалось найти и ресурсы, и организационные возможности для того, чтобы решить проблему Пролетарского кольца, – подчеркнул Владимир Панов. - Открыв дорогу, мы разгрузим круговую развязку. Предположительно, нагрузка на Пролетарское кольцо снизится до 30% и, соответственно, скорость будет выше, а движение комфортнее».

Напомним, в соответствии с поручением главы города, разрабатывается новая городская маршрутная сеть общественного транспорта. Предложения жителей будут проанализированы и учтены при утверждении и внедрении новой маршрутной сети общественного транспорта Нижнего Новгорода.


Возврат к списку